Die Impfung gegen das Corona-Virus soll uns einen Ausweg aus der Pandemie ermöglichen. Kernstück dabei ist mRNA. Ähnlich vielversprechend könnte RNA im Pflanzenschutz sein – jedenfalls sind Agrochemiekonzerne wie Bayer oder Syngenta davon überzeugt, wie im neuen Pro-Natura-Magazin berichtet wird. Dabei gibt es allerdings noch einige Unsicherheiten.

Gene stilllegen, um zu töten

Grundsätzlich kommt RNA überall in unserer Umwelt vor und wir nehmen sie mit der Nahrung auf. Somit handelt es sich um ein natürliches Molekül. Im Gegensatz zur Covid-Impfung käme bei Pflanzenschutzmitteln auf RNA-Basis eine etwas andere Version davon zum Einsatz: Doppelsträngige (dsRNA) statt Boten-RNA (mRNA). Auch das Prinzip der Wirkung ist anders: Der Impfwirkstoff enthält den Bauplan für ein Protein, während ein potentielles Pestizid die Herstellung eines solchen verhindert.

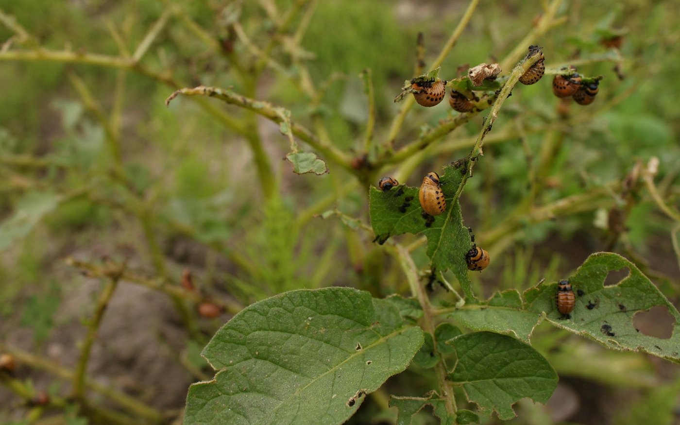
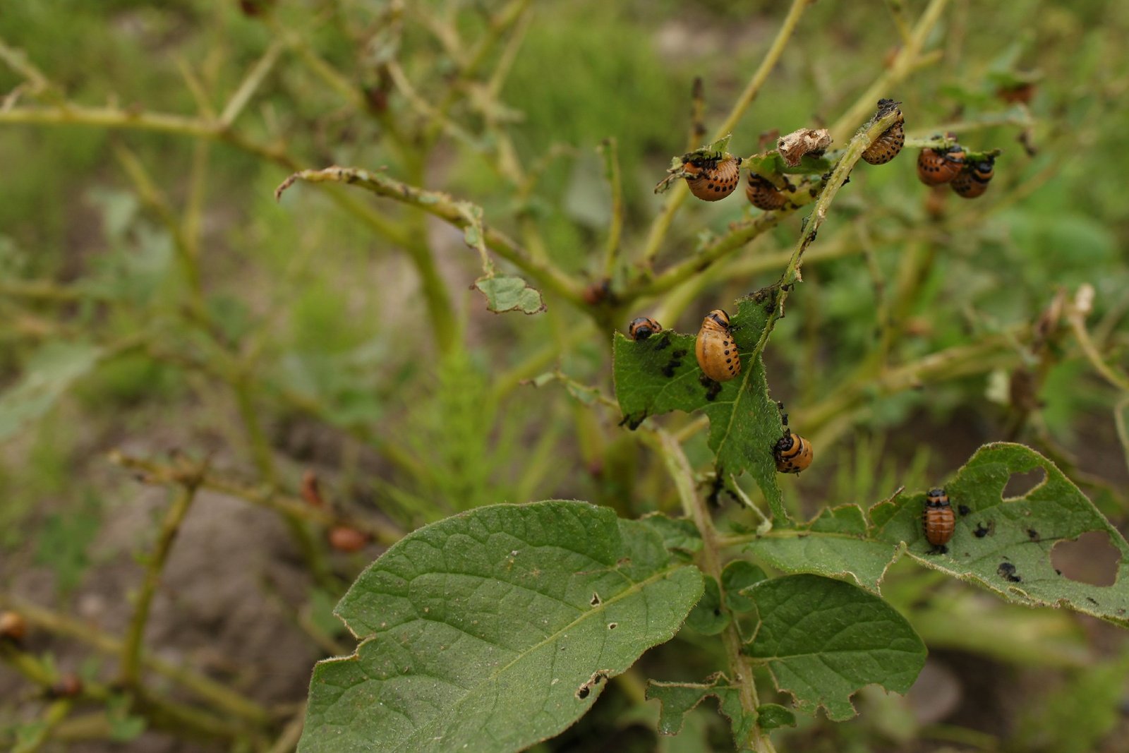
Im Pro-Natura-Artikel wird dies am Beispiel des Kartoffelkäfers illustriert, den sowohl Bayer als auch Syngenta im Fokus hätten: Das RNA-Pflanzenschutzmittel blockiert die Produktion eines lebenswichtigen Proteins, der Käfer stirbt.

Gentechnisch gegen Krankheiten

Nach demselben Prinzip liesse sich auch die Entwicklung von Larven stoppen. Ein anderes Anwendungsgebiet sind laut «Transparenz Gentechnik» Pflanzenkrankheiten.  Dazu wird aber im Gegensatz zu Pflanzenschutzmitteln zum Sprayen die Pflanze gentechnisch verändert. Sie produziert dann selbst ein Stück RNA, das den Erreger stoppt.

Therapie mit Nebenwirkungen?

Der globale Dachverband von Naturschutzorganisationen «Friends of the Earth», dem auch Pro Natura angehört, hat Zweifel an der Sicherheit von RNA-Pestiziden. Wie Pro Natura schreibt, könnten auch nicht-schädliche Insekten betroffen sein oder das Erbgut von Pflanzen verändert werden. Ausserdem würde die RNA mit gentechnisch veränderten Bakterien hergestellt, die möglicherweise mit auf dem Feld landen könnten, heisst es weiter.

Allerdings sind Gentech-Bakterien zu Herstellungszwecken alles andere als neu. So nutzt die Lebensmittelindustrie solche Organismen, um beispielsweise grosse Mengen Zitronensäure herzustellen. Auch Insulin kann auf diese Weise produziert werden.

Marienkäfer litten auch

Zu den unerwünschten Nebeneffekten auf Insekten hat Agroscope in diesem Jahr eine Studie durchgeführt. Die Forschenden zeigten, dass Marienkäfer von dsRNA geschädigt werden können, die gegen den Westlichen Maiswurzelbohrer (Diabrotica virgifera virgifera) eingesetzt werden kann. Zwar bezog sich der Versuch auf gentechnisch veränderte Pflanzen, in deren Blättern die entsprechende dsRNA produziert und beim Fressen von Käfern aufgenommen wird, die Resultate dürften aber auch für aufgesprühte Präparate mit diesem Wirkstoff Gültigkeit haben. Allerdings wurden laut den Studienautoren in dem Versuch massiv grössere Mengen RNA eingesetzt, als es in der Praxis der Fall wäre.

Dazu, wie lange derartige RNA in der Umwelt bleibt, gibt es laut Pro Natura weitere Unsicherheiten. Forschende der ETH Zürich und Daten aus der Industrie seien sich hier nicht einig.

Empfehlungen werden erwartet

Sollten Pflanzenschutzmittel auf RNA-Basis in der Schweiz auf den Markt kommen, müssen sie fraglos das Bewilligungsverfahren des Bundes durchlaufen. Das gilt auch für sogenannte Biologika.

Wichtig für die Debatte sind gemäss Pro Natura die Empfehlungen der Organisation für wirtschaftliche Zusammenarbeit und Entwicklung (OECD), die demnächst erwartet würden.

[EXT 1]